Local Service Overview

Get Red Ant Extermination in Justin, TX

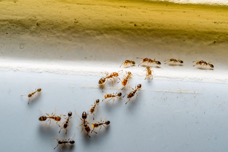
Red Ant Extermination services for property owners in Justin, TX, typically address pest infestations like ants, termites, and roaches through targeted removal and prevention projects.

Justin, TX

Red ant extermination services provide property owners in Justin, TX with an effective solution to manage and eliminate invasive ant populations. These services help create a more comfortable living environment by reducing the presence of pests that can invade indoor and outdoor spaces. Eliminating red ants can also enhance safety by preventing bites and stings, which is especially important for households with children or pets. Additionally, professional pest control can improve the overall functionality and durability of outdoor areas, such as lawns and gardens, by protecting them from damage caused by ant activity and reducing the need for ongoing maintenance.

Choosing professional extermination services offers benefits that extend beyond immediate pest removal. Property owners often seek to boost curb appeal by maintaining a clean, pest-free exterior, which can positively influence property value. Regular pest management can also lead to long-term durability of landscaping and structures by preventing ant-related damage. Overall, these services provide a practical approach to maintaining a safe, attractive, and well-functioning property in Justin, TX, with the added peace of mind that comes from working with experienced local service providers.

Get Red Ant Extermination Quotes

  • Red Ant Extermination services are needed when infestations threaten residential or commercial properties in Justin, TX and nearby areas.
  • Strong ant colonies inside walls or foundations require professional removal to prevent further spread.
  • Property owners experiencing persistent ant activity despite initial treatments may seek expert extermination.
  • Ant infestations in outdoor landscaping or around building perimeters can benefit from targeted extermination services.
  • In cases where red ants pose a risk to children or pets, professional pest control providers can offer effective solutions.

Get Red Ant Extermination Quotes

Red Ant Extermination
Red Ant Extermination
Red Ant Extermination

Red ant extermination services focus on identifying and eliminating red ant colonies that invade residential, commercial, or industrial properties. These services typically involve thorough inspections to locate active nests and areas of ant activity. Exterminators may use targeted treatments such as baits, insecticidal dusts, or liquid sprays designed to eradicate the entire colony, including the queen. The goal is to reduce or eliminate the red ant population, preventing further invasions and damage caused by their presence.

Red ants can pose various problems for property owners. They often invade kitchens, pantries, and outdoor spaces, contaminating food and creating unsanitary conditions. Their aggressive nature can lead to painful bites and stings, which may cause allergic reactions in some individuals. Additionally, large ant colonies can damage plants, wood structures, and other organic materials by nesting in or near them. Effective extermination services help mitigate these issues by removing active colonies and discouraging future infestations.

The need for red ant extermination services is common across different property types. Residential properties, including single-family homes, apartments, and condominiums, frequently require treatment to protect families and food supplies. Commercial establishments such as restaurants, grocery stores, and food processing facilities also seek professional pest control to maintain sanitation standards. Additionally, outdoor spaces like parks, playgrounds, and landscaped yards in both residential and commercial settings often benefit from targeted treatments to control ant populations and prevent their spread.

Professional red ant extermination services offer tailored solutions based on the severity of the infestation and the specific property. Local service providers use proven methods to address ant problems efficiently, helping property owners restore comfort and safety. Whether dealing with a minor nuisance or a large colony, contacting experienced pest control professionals can provide effective management and long-term prevention strategies for red ants.

The overview below groups typical Red Ant Extermination projects into broad ranges so you can see how smaller, mid-sized, and larger jobs often compare in Justin, TX.

In many markets, a large share of routine jobs stays in the lower and middle ranges, while only a smaller percentage of projects moves into the highest bands when the work is more complex or site conditions are harder than average.

Initial Inspection and Treatment - The cost for a basic inspection and treatment for red ants typically ranges from $100 to $300. Prices may vary based on the size of the property and severity of the infestation.

Perimeter Barrier Services - Applying perimeter treatments to prevent red ant entry generally costs between $150 and $400. Larger properties or heavily infested areas may see higher prices.

Ongoing Maintenance Plans - Regular pest control plans to manage red ant populations usually fall within $50 to $150 per visit. The total cost depends on the frequency and extent of the treatments.

Localized Spot Treatments - Spot treatments for specific ant colonies can cost from $80 to $250 per application. This option is often used for targeted control in problem areas.

Actual totals will depend on details like access to the work area, the scope of the project, and the materials selected, so use these as general starting points rather than exact figures.

Get a Red Ant Extermination Quote

Ant Extermination - Local pest control providers offer specialized services to eliminate ant infestations in residential and commercial properties, ensuring effective removal and prevention.

Cockroach Extermination - Local exterminators provide targeted treatments to address cockroach issues, helping to reduce health risks and maintain sanitary environments.

Termite Control - Local specialists assess and treat termite problems to protect structures from damage, offering ongoing prevention solutions.

Bed Bug Removal - Area pest control services focus on eradicating bed bugs through comprehensive treatments for homes and hospitality establishments.

Spider Extermination - Local pros implement methods to control spider populations, promoting safer indoor and outdoor spaces.

Rodent Control - Local pest management providers address rodent infestations with tailored strategies to secure properties and prevent future issues.

Red Ant Extermination

Red ant extermination services can vary significantly in terms of experience among local providers. When evaluating options, it’s important to consider how long a pest control company has been operating in the Justin, TX area or nearby communities. Experienced pros often have a deeper understanding of ant behaviors, effective treatment methods, and local environmental factors that influence pest activity. This knowledge can contribute to more effective and targeted solutions, helping homeowners address ant issues efficiently.

Clear communication of service expectations is crucial when choosing a local exterminator. Reputable providers typically outline their treatment processes, what homeowners can expect during and after the service, and any necessary preparations or follow-up steps. Having transparent written expectations helps ensure that homeowners and service providers are aligned, reducing potential misunderstandings and fostering a smoother experience.

References and reputation are key indicators of a reliable pest control professional. Homeowners are encouraged to seek out local pros with established reputations, which can often be verified through references or reviews from previous clients. Reputable providers tend to have a history of consistent service quality and professionalism, making them a more dependable choice. Effective communication throughout the process also plays a vital role, as it ensures homeowners stay informed and can ask questions or address concerns as needed.

Get a Red Ant Extermination Quote

Property owners in Justin, TX use Red Ant Extermination services for practical projects around their homes and businesses. The sections below highlight everyday jobs and straightforward project options.

Red Ant Extermination
Red Ant Extermination

Red ant extermination services are commonly sought by property owners in Justin, TX, dealing with persistent ant infestations that disrupt daily living. These services are often needed when ants invade indoor spaces such as kitchens, bathrooms, or storage areas, creating nuisance and potential health concerns. Local extermination professionals can assess the extent of the problem and implement targeted treatments to eliminate ant colonies, helping to restore comfort and prevent future invasions.

Property owners may also look for red ant extermination when outdoor areas, including lawns, gardens, or patios, become overrun with ants. Such infestations can interfere with outdoor activities and damage plants or landscaping. Local service providers can offer solutions to control and prevent ant populations, maintaining a safe and enjoyable outdoor environment.

Get a Red Ant Extermination Quote

How do pest control services handle red ant infestations? Local pest control providers typically assess the extent of the infestation and apply targeted treatments to eliminate red ants from indoor and outdoor areas.

Are red ant treatments safe for pets and children? Many service providers use treatments that are safe when applied correctly; it’s best to discuss any safety concerns with the local pros when contacting them.

How long does a red ant extermination typically take? The duration of treatment varies based on the severity of the infestation, but most services aim to complete the process efficiently while ensuring effectiveness.

Will I need multiple treatments for red ant control? Some infestations may require more than one visit to fully eradicate red ants, depending on the extent of the problem and the treatment method used.

How can I prevent future red ant problems? Local pest control experts can provide advice on sanitation and landscaping practices that help reduce the likelihood of future infestations.

Red Ant Extermination Solutions - Local pest control providers offer specialized treatments to eliminate red ant colonies effectively.

Red Ant Prevention Strategies - Professionals can advise on methods to reduce attractants and prevent future infestations around properties.

Red Ant Inspection Services - Expert inspections identify active nests and assess the extent of ant activity to determine appropriate treatment options.

Red Ant Treatment Options - Service providers utilize various control methods tailored to property needs to manage and eradicate red ant populations.

Red Ant Extermination

Considering Red Ant Extermination for a property in Justin, TX? The sections above highlight common project types, practical options, and details that often shape the scope of work.

When you are ready, use the quote form to share a few details about your project. Local pros can review the basics and respond with options that match what you have in mind.

Get a Red Ant Extermination Quote

Red Ant Extermination Quotes

Our Trusted Partners
Cantu Pest Control
Orkin
Hawx Pest Control