Local Service Overview

Get Black Ant Extermination in North Richland Hills, TX

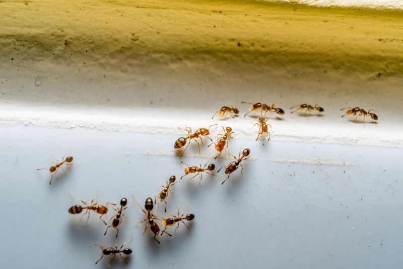
Black Ant Extermination services for property owners in North Richland Hills, TX, and nearby areas address ant infestations, prevent future invasions, and treat affected structures.

North Richland Hills, TX

Black ant extermination services are a practical solution for property owners in North Richland Hills, TX seeking to protect their homes and businesses from invasive pests. These services help prevent the nuisance and potential damage caused by ant colonies, ensuring a more comfortable living or working environment. By addressing ant infestations promptly, property owners can maintain the safety and functionality of their spaces, reducing the likelihood of structural damage or contamination that could compromise the property's integrity.

Choosing professional ant extermination can also enhance curb appeal and reduce ongoing maintenance efforts. Effective pest control treatments help keep outdoor areas tidy and free of unsightly ant mounds, contributing to a well-maintained appearance. Additionally, these services often lead to longer-lasting results, minimizing the need for frequent interventions and preserving the durability of the property’s exterior and foundation. Connecting with experienced local providers can ensure tailored solutions that meet specific needs and priorities.

Get Black Ant Extermination Quotes

  • Black Ant Extermination - needed when black ants invade kitchens or living areas in North Richland Hills, TX and surrounding communities.
  • Black Ant Extermination - required if black ant colonies are discovered outdoors near residential properties in the Dallas-Fort Worth area.
  • Black Ant Extermination - necessary when black ants become persistent inside homes or commercial buildings in nearby neighborhoods.
  • Black Ant Extermination - sought after when black ant activity is observed in garden beds or around foundation walls in the local region.
  • Black Ant Extermination - essential if black ants are causing damage or contamination in food storage or preparation areas in North Richland Hills, TX.

Get Black Ant Extermination Quotes

Black Ant Extermination
Black Ant Extermination
Black Ant Extermination

Black ant extermination services are designed to eliminate infestations of black ants from residential and commercial properties. These services typically involve a thorough inspection of the affected area to identify the extent of the ant problem and locate their nesting sites. Service providers often use targeted treatments, such as baits, dusts, and liquid insecticides, to effectively reduce or eradicate black ant populations. The goal is to remove the pests safely and efficiently, preventing future invasions and minimizing disruption to the property’s daily activities.

Black ant problems can cause significant nuisances for property owners, especially when colonies establish themselves indoors or in highly visible outdoor areas. These ants can invade kitchens, pantries, and other food storage spaces, contaminating food and creating unsanitary conditions. Outside, black ants may build large mounds or trails that detract from the property’s appearance and can lead to further pest issues if left unmanaged. Extermination services help address these concerns by controlling the ant population and reducing the risk of ongoing infestations.

Various types of properties utilize black ant extermination services, including single-family homes, apartment complexes, restaurants, and retail establishments. Residential properties often seek treatment to protect food supplies and prevent ant-related damage or discomfort. Commercial properties, particularly those involved in food service or hospitality, may require regular pest management to maintain hygiene standards and comply with health regulations. Additionally, property managers and business owners turn to pest control providers to ensure their premises remain free of pests that could harm their reputation or operations.

Professional extermination services typically involve tailored treatment plans based on the specific needs of each property. Service providers may recommend ongoing maintenance or preventative measures to keep black ant populations at bay. While the methods used are designed to be effective, they are also intended to minimize impact on the property’s environment and inhabitants. Property owners and managers interested in addressing black ant issues can contact local pest control specialists to discuss suitable options for their specific property type and infestation severity.

The overview below groups typical Black Ant Extermination projects into broad ranges so you can see how smaller, mid-sized, and larger jobs often compare in North Richland Hills, TX.

In many markets, a large share of routine jobs stays in the lower and middle ranges, while only a smaller percentage of projects moves into the highest bands when the work is more complex or site conditions are harder than average.

Initial Black Ant Treatment - The cost for a one-time treatment typically ranges from $150 to $300, depending on property size and infestation severity. Larger homes or heavily infested areas may cost more. Local pros can provide specific estimates based on your situation.

Ongoing Pest Control Plans - Monthly or quarterly service plans for black ant extermination generally cost between $40 and $70 per visit. These plans often include regular inspections and treatments to prevent re-infestation.

Per-Visit Service Fees - Single-visit treatments usually fall within the $100 to $250 range. Prices vary based on the extent of the ant problem and the treatment method used by local service providers.

Additional Service Costs - Extra charges may apply for specialized treatments, such as baiting or localized spot treatments, which can add $50 to $150 to the overall cost. Contact local pros for tailored quotes based on your specific needs.

Actual totals will depend on details like access to the work area, the scope of the project, and the materials selected, so use these as general starting points rather than exact figures.

Get a Black Ant Extermination Quote

Black Ant Extermination services are essential for removing infestations in residential and commercial properties. Local pest control providers offer targeted treatments to eliminate black ants and prevent future invasions.

Ant Control Treatments involve applying specialized solutions to identify and eradicate black ant colonies, ensuring long-term pest management in North Richland Hills, TX area.

Infestation Inspection services help identify the extent of black ant presence and determine the most effective treatment strategies for affected properties.

Prevention Services focus on implementing barriers and ongoing monitoring to keep black ants from returning after initial extermination efforts.

Residential Black Ant Removal solutions are tailored to address ant problems in homes, safeguarding living spaces from further pest issues.

Commercial Black Ant Control services assist local businesses in maintaining pest-free environments, complying with health standards and customer expectations.

Black Ant Extermination

When selecting a professional for black ant extermination services, it is important to consider their experience in handling ant infestations. Pros with a proven track record often demonstrate familiarity with various treatment methods and the specific challenges associated with black ants in North Richland Hills, TX, and surrounding areas. Homeowners should inquire about the duration of their experience and ask for examples of similar projects to gauge their familiarity with local conditions and common issues.

Clear and written expectations are essential when working with a pest control provider. Reputable service providers typically outline their approach, the methods they plan to use, and any preparations needed before treatment. This transparency helps homeowners understand what to anticipate and ensures that all parties are aligned on the scope of work. It is advisable to review any written estimates or agreements carefully and ask questions to clarify the process and outcomes.

Reputable references and effective communication are key indicators of a trustworthy pest control professional. Homeowners may seek out reviews or testimonials from previous clients to assess their satisfaction and reliability. Additionally, professionals who maintain open lines of communication and are responsive to inquiries can provide a smoother, more predictable experience. Since the site introduces local options rather than performing the work directly, it is important to contact the selected service providers to discuss specific needs and confirm their qualifications before proceeding.

Get a Black Ant Extermination Quote

Property owners in North Richland Hills, TX use Black Ant Extermination services for practical projects around their homes and businesses. The sections below highlight everyday jobs and straightforward project options.

Black Ant Extermination
Black Ant Extermination

Black ant extermination services are commonly sought by property owners in North Richland Hills, TX, who notice ant activity around their homes or businesses. These small pests can invade kitchens, pantries, and other areas, causing inconvenience and potential contamination of food supplies. Property owners may look for professional assistance to effectively eliminate ant colonies and prevent future infestations, especially when DIY methods prove ineffective.

In addition to nuisance concerns, some property owners seek black ant extermination to protect their structures from possible damage. Certain ant species can threaten woodwork or electrical wiring, leading to costly repairs. Local service providers can offer targeted treatments to address these issues and help maintain a pest-free environment in residential and commercial properties throughout North Richland Hills.

Get a Black Ant Extermination Quote

Why are black ants attracted to my home? Black ants are drawn to food sources, moisture, and shelter around residential properties, making homes an appealing environment for them.

How can I identify a black ant infestation? Signs include the presence of small black ants in kitchens, bathrooms, or along trails, as well as tiny ant mounds or trails leading indoors.

Are black ants harmful to my home or health? While black ants are primarily a nuisance, they can contaminate food and sometimes cause structural damage if they establish extensive colonies.

What extermination methods do local pros use for black ants? Professionals typically use targeted treatments such as baits, dusts, and sprays to eliminate black ant colonies effectively.

How can I prevent black ants from returning? Keeping your home clean, sealing entry points, and removing food and water sources can help deter future black ant invasions.

Black Ant Extermination Techniques - Local service providers can employ various methods such as baiting, dusting, and trapping to eliminate black ants effectively.

Inspection and Identification - Professionals can assess property conditions to identify ant entry points and nesting sites for targeted treatment.

Preventive Strategies - Service providers may recommend sealing cracks and removing attractants to help prevent future ant infestations.

Ongoing Monitoring and Maintenance - Regular inspections and treatments can help maintain ant-free environments in residential and commercial properties.

Black Ant Extermination

Considering Black Ant Extermination for a property in North Richland Hills, TX? The sections above highlight common project types, practical options, and details that often shape the scope of work.

When you are ready, use the quote form to share a few details about your project. Local pros can review the basics and respond with options that match what you have in mind.

Get a Black Ant Extermination Quote

Black Ant Extermination Quotes

Our Trusted Partners
Cantu Pest Control
Orkin
Hawx Pest Control