Local Service Overview

Get Ants Extermination Service in Krum, TX

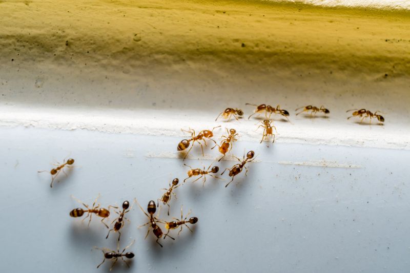
Ants extermination services for property owners in Krum, TX and nearby areas address ant infestations, prevent future invasions, and handle residential and commercial pest control projects.

Krum, TX

Ants extermination services in Krum, TX provide property owners with effective solutions to manage and prevent ant infestations. By addressing these pests promptly, property owners can enjoy increased comfort and peace of mind, knowing that their living or working spaces are free from unwanted intruders. Professional exterminators utilize targeted methods to eliminate ant colonies, helping to reduce the risk of damage to structures and stored goods, while also minimizing disruptions to daily routines.

Engaging with local ant extermination specialists offers benefits such as enhanced safety, improved curb appeal, and reduced ongoing maintenance needs. A pest-free environment not only contributes to the overall functionality of a property but also preserves its durability by preventing potential damage caused by ants. Contacting experienced service providers in Krum, TX can help property owners maintain a safe, attractive, and well-functioning space.

Get Ants Extermination Service Quotes

  • Ants Extermination - A service to eliminate ants in residential or commercial properties experiencing infestations.
  • Ants Prevention - A solution for property owners seeking to prevent future ant invasions in Krum, TX and surrounding areas.
  • Ants Inspection - An inspection service to identify ant activity and entry points before an infestation worsens.
  • Ants Baiting - An effective approach for controlling ant colonies using bait stations in affected areas.
  • Ants Barrier Treatment - A treatment to establish a protective barrier around buildings to keep ants from entering.

Get Ants Extermination Service Quotes

Ants Extermination Service
Ants Extermination Service
Ants Extermination Service

Ants extermination services involve identifying and eliminating ant infestations within residential, commercial, or industrial properties. These services typically include thorough inspections to locate ant colonies and entry points, followed by targeted treatment methods to eradicate the pests. Professionals may use a combination of baiting systems, insecticidal applications, and exclusion techniques to ensure effective control and prevent future invasions. The goal is to address the root of the problem while minimizing disruption to the property and its occupants.

Ant problems can cause significant issues for property owners, ranging from minor nuisances to more serious structural concerns. Ant colonies can damage insulation, electrical wiring, and wood structures, leading to costly repairs if left untreated. Additionally, ants can contaminate food supplies and create unsanitary conditions, especially in kitchens and food storage areas. Extermination services help mitigate these problems by removing existing colonies and implementing preventative measures to reduce the likelihood of future infestations.

Various types of properties benefit from ants extermination services. Residential homes often seek treatment to protect kitchens, gardens, and outdoor living spaces from ant incursions. Commercial properties, including restaurants, grocery stores, and warehouses, require regular pest management to maintain hygiene standards and comply with health regulations. Industrial facilities and agricultural operations may also use these services to safeguard their products and infrastructure from ant-related damage or contamination.

Professional ant extermination services are tailored to the specific needs of each property type and infestation severity. Local pest control providers assess the extent of the problem and recommend appropriate treatment plans to effectively eliminate ants. These services not only focus on immediate eradication but also include advice on property maintenance and sanitation practices to help prevent future invasions. Contacting a local pest control professional can provide the expertise necessary to manage ant problems efficiently and effectively.

The overview below groups typical Ants Extermination Service projects into broad ranges so you can see how smaller, mid-sized, and larger jobs often compare in Krum, TX.

In many markets, a large share of routine jobs stays in the lower and middle ranges, while only a smaller percentage of projects moves into the highest bands when the work is more complex or site conditions are harder than average.

Initial Inspection and Treatment - The cost for an initial ant inspection and treatment typically ranges from $100 to $300, depending on the property size and infestation severity. Some providers may charge a flat fee within this range for the service. Prices can vary based on local market conditions.

Perimeter Barrier Application - Applying a perimeter barrier to prevent ant entry generally costs between $150 and $400. The price depends on the property’s size and the complexity of the treatment area. Larger or more complex properties may incur higher fees.

Ongoing Maintenance and Follow-up - Follow-up treatments or maintenance plans usually cost between $75 and $200 per visit. Service providers often recommend multiple visits for effective control, with costs varying by the number and frequency of treatments needed.

Whole-Property Extermination - Complete ant extermination for an entire property can range from $200 to $600. The final price depends on the extent of the infestation and the size of the property, with larger homes typically requiring more extensive treatment. Prices may vary in different local areas.

Actual totals will depend on details like access to the work area, the scope of the project, and the materials selected, so use these as general starting points rather than exact figures.

Get an Ants Extermination Service Quote

Ants Extermination - Local pest control professionals offer targeted solutions to eliminate ant colonies and prevent future invasions around residential and commercial properties.

Ant Control for Homes - Service providers specialize in treating indoor and outdoor areas of homes in Krum, TX to effectively reduce ant populations and protect living spaces.

Commercial Ant Extermination - Commercial pest control experts address ant infestations in business environments, ensuring minimal disruption and maintaining a pest-free workplace.

Outdoor Ant Barrier Treatments - Professionals apply barrier treatments around building foundations and landscape areas to create a protective zone against ant entry.

Ant Infestation Inspection - Local pros conduct thorough inspections to identify ant activity, nesting sites, and the extent of infestations before treatment.

Preventative Ant Management - Service providers offer ongoing monitoring and preventative strategies to keep ant problems from recurring in residential and commercial properties.

Ants Extermination Service

When selecting a professional for ant extermination services, it’s important to consider the experience and reputation of local contractors. Many service providers have established track records in the Krum, TX area, with years of experience handling ant infestations and related pest issues. Checking references or reviews can provide insights into their reliability and effectiveness, helping homeowners make informed decisions based on prior customer experiences. While these professionals may vary in their backgrounds, focusing on those with a history of successful treatments can be a valuable step in the selection process.

Clear communication and well-defined expectations are essential when working with pest control providers. Reputable local pros typically offer detailed explanations of their approach, what homeowners can expect during and after treatment, and any recommended follow-up actions. This transparency helps ensure that homeowners understand the scope of work and feel confident in the services being provided. It’s advisable to ask service providers about their process and to seek clarity on any questions before proceeding with treatment.

The site introduces homeowners to a range of local ant extermination service providers, emphasizing the importance of researching and comparing options. It’s recommended to contact multiple professionals to discuss their services, experience, and references. Building a rapport through open communication can help homeowners select a provider who aligns with their needs and expectations. Remember, this platform connects users with local service providers and does not perform the work itself, making it a useful resource for finding reputable pros in the Krum, TX area.

Get an Ants Extermination Service Quote

Property owners in Krum, TX use Ants Extermination Service services for practical projects around their homes and businesses. The sections below highlight everyday jobs and straightforward project options.

Ants Extermination Service
Ants Extermination Service

Ants extermination services are often sought by property owners in Krum, TX, dealing with common household ant invasions. These pests can appear unexpectedly, especially during warmer months, and may find their way into kitchens, pantries, or other areas where food is stored. Property owners may look for professional assistance to effectively eliminate ant colonies and prevent future infestations, ensuring a clean and pest-free living or working environment.

In addition to visible ant trails and nests, property owners might seek extermination services when noticing increased ant activity around the exterior of their buildings or in outdoor spaces. Ants can sometimes cause damage to structures or become a nuisance, prompting residents and business owners in Krum to contact local service providers for targeted treatment options. Professional exterminators can help address these issues efficiently, reducing ongoing problems and safeguarding property value.

Get an Ants Extermination Service Quote

How do ant extermination services work? Ant extermination services typically involve inspecting the property to identify ant activity and entry points, followed by applying targeted treatments to eliminate existing colonies and prevent future infestations. Local service providers may use baiting, residual sprays, or barrier treatments based on the situation.

Are ant extermination treatments safe for pets and children? Most professional ant treatments are designed to be safe when applied by trained technicians, but it is recommended to follow any specific instructions provided by the service provider to ensure safety for pets and children.

How long does an ant extermination treatment last? The duration of effectiveness varies depending on the treatment method and extent of the infestation. Service providers can offer guidance on follow-up treatments or preventative measures to maintain control.

Will I need multiple treatments to eliminate ants? Multiple treatments may be necessary for severe or persistent ant problems. A local pest control professional can assess the situation and recommend an appropriate treatment plan.

How can I prevent future ant infestations? Preventative measures include keeping food stored properly, sealing entry points, and maintaining clean surroundings. Local pest control providers can offer advice tailored to specific property needs.

Ants Extermination Solutions - Local pest control providers offer targeted treatments to eliminate ant infestations and prevent future outbreaks.

Inspection and Identification - Pros can identify ant species and assess entry points to develop effective extermination strategies.

Residential and Commercial Services - Services are available for homes, businesses, and outdoor areas to ensure comprehensive ant control.

Ongoing Prevention Advice - Experts provide guidance on sanitation and maintenance practices to reduce the likelihood of ant re-infestation.

Ants Extermination Service

Considering Ants Extermination Service for a property in Krum, TX? The sections above highlight common project types, practical options, and details that often shape the scope of work.

When you are ready, use the quote form to share a few details about your project. Local pros can review the basics and respond with options that match what you have in mind.

Get an Ants Extermination Service Quote

Ants Extermination Quotes

Our Trusted Partners
Cantu Pest Control
Orkin
Hawx Pest Control