Local Service Overview

Get Ants Extermination Service in Colleyville, TX

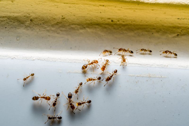
Ants extermination services for property owners in Colleyville, TX, and nearby areas address ant infestations, preventing property damage and ensuring pest-free living or working spaces.

Colleyville, TX

Ants extermination services are essential for property owners in Colleyville, TX who want to maintain a comfortable and safe living environment. Ant infestations can compromise the functionality of a home by damaging structures, contaminating food supplies, and creating unsanitary conditions. Professional extermination helps to eliminate existing colonies and prevent future invasions, reducing the need for ongoing maintenance and safeguarding the property's durability. This proactive approach can also enhance curb appeal by keeping outdoor spaces clean and free of ant activity, contributing to a well-maintained appearance.

Choosing expert ant extermination services provides peace of mind for homeowners concerned about safety and long-term property value. Skilled service providers utilize effective methods to control and prevent ant populations, ensuring that homes remain comfortable and functional. By addressing ant issues promptly, property owners can enjoy a more inviting outdoor environment and reduce the risk of damage or health concerns associated with infestations. This comprehensive approach supports the overall safety, durability, and aesthetic appeal of properties in Colleyville, TX.

Get Ants Extermination Service Quotes

  • Ants Extermination - needed when ants invade kitchens or living areas in residential properties.
  • Ants Extermination - required when persistent ant trails are found around homes in suburban neighborhoods.
  • Ants Extermination - necessary for businesses experiencing ant problems in commercial spaces or food establishments.
  • Ants Extermination - sought after when ant colonies are detected in yard or garden areas near homes.
  • Ants Extermination - essential when ant infestations occur in multi-family housing or apartment complexes in nearby communities.

Get Ants Extermination Service Quotes

Ants Extermination Service
Ants Extermination Service
Ants Extermination Service

Ants extermination services involve professional efforts to identify and eliminate ant infestations within residential, commercial, or industrial properties. These services typically include thorough inspections to locate nests and entry points, followed by targeted treatments using specialized products designed to eradicate ants at their source. Service providers may employ various methods such as baiting, liquid treatments, or dust applications to ensure comprehensive control. The goal is to reduce ant populations effectively and prevent future invasions, helping property owners maintain a clean and pest-free environment.

Ant infestations can pose several problems for property owners, including damage to structures, contamination of food supplies, and general nuisance. Certain species of ants, such as carpenter ants, can compromise the integrity of wood structures, leading to costly repairs if left unchecked. Additionally, ants can contaminate food items in kitchens and pantries, creating health concerns. The presence of ants may also lead to increased frustration and discomfort for residents or employees, particularly in settings where hygiene and cleanliness are priorities.

Properties that commonly utilize ant extermination services include single-family homes, apartment complexes, restaurants, and retail stores. Residential properties often seek treatment to protect food storage areas and prevent damage to wooden fixtures. Commercial establishments, especially those involved in food handling or preparation, prioritize pest control to comply with health regulations and maintain a hygienic environment. Warehouses and office buildings may also require regular pest management to keep ant populations under control and avoid disruptions to daily operations.

Professional ant extermination services are tailored to address the specific needs of different property types and infestation levels. Service providers conduct detailed assessments to determine the extent of the problem and recommend appropriate treatment plans. Whether dealing with minor nuisance ant issues or more serious infestations, property owners can access local pest control experts who specialize in ant eradication. Contacting experienced professionals can help ensure effective solutions and long-term prevention of ant-related problems.

The overview below groups typical Ants Extermination Service projects into broad ranges so you can see how smaller, mid-sized, and larger jobs often compare in Colleyville, TX.

In many markets, a large share of routine jobs stays in the lower and middle ranges, while only a smaller percentage of projects moves into the highest bands when the work is more complex or site conditions are harder than average.

Initial Inspection - The cost for an ant inspection typically ranges from $50 to $150, depending on the size of the property and complexity. Some providers include a basic assessment as part of the service. Additional treatments are usually billed separately.

Perimeter Treatment - Exterior ant extermination services generally cost between $100 and $300 for a standard property. Larger homes or properties with severe infestations may see prices closer to $400 or more. This covers applying barriers around the foundation and entry points.

Baiting and Monitoring - Baiting services can range from $75 to $200 per treatment session. Ongoing monitoring or multiple visits may increase the overall cost, especially in cases of persistent ant activity. Some providers include bait stations as part of their package.

Warranties and Follow-up - Follow-up treatments or warranties typically add $50 to $200 annually, depending on the scope of service. These costs cover re-inspections and additional applications if ants reappear after initial treatment. Prices vary based on property size and infestation severity.

Actual totals will depend on details like access to the work area, the scope of the project, and the materials selected, so use these as general starting points rather than exact figures.

Get an Ants Extermination Service Quote

Ants Extermination - Local service providers offer targeted solutions to eliminate ant infestations in residential and commercial properties. They assess the extent of the problem and implement effective removal methods.

Ant Control for Homes - Pros assist homeowners in identifying ant entry points and applying treatments to prevent future invasions. They focus on safe and efficient removal techniques.

Commercial Ant Extermination - Businesses can connect with specialists experienced in managing ant problems in commercial spaces, ensuring minimal disruption. These providers tailor strategies to suit business environments.

Outdoor Ant Treatment - Service providers offer outdoor treatments to eliminate ant colonies around properties. They utilize methods that target nests and reduce ant activity outdoors.

Emergency Ant Removal - Local pros are available to address sudden and severe ant infestations promptly. They prioritize quick response to restore pest-free conditions.

Ant Prevention Services - Experts provide preventative measures to keep ants from returning, including barrier treatments and property inspections. These services aim to maintain a pest-free environment over time.

Ants Extermination Service

When comparing ant extermination services offered by local professionals, experience plays a significant role in ensuring effective and thorough pest control. Homeowners should look for service providers with a proven track record in handling ant infestations within the community, as familiarity with local ant species and common nesting sites can influence treatment success. It’s helpful to review the background and duration of service providers’ operations to gauge their familiarity with the specific challenges faced in areas like Colleyville, TX and nearby neighborhoods.

Clear and written expectations are essential when engaging with ant extermination specialists. Reputable service providers typically outline what treatments will be used, the scope of work, and any necessary follow-up measures. This transparency helps homeowners understand what to expect and ensures there are no surprises after services are completed. Local pros often provide detailed descriptions of their approaches, allowing homeowners to make informed decisions based on their specific pest issues and property needs.

Reputation and communication are key factors when selecting a local pest control provider. Homeowners should seek out service providers with positive references from previous clients, which can often be verified through reviews or direct recommendations. Additionally, effective communication-whether through prompt responses, clear explanations, or accessible customer service-helps ensure that homeowners feel confident throughout the process. While the site introduces local options, it is important to remember that it connects users with independent professionals and does not perform the work itself.

Get an Ants Extermination Service Quote

Property owners in Colleyville, TX use Ants Extermination Service services for practical projects around their homes and businesses. The sections below highlight everyday jobs and straightforward project options.

Ants Extermination Service
Ants Extermination Service

Ants extermination services are commonly sought by property owners in Colleyville, TX when they notice an ant infestation around their homes or businesses. Common situations include discovering trails of ants inside kitchens, bathrooms, or other areas where food is stored or prepared. Property owners may also seek professional help if they observe large colonies or notice ants returning despite previous attempts to eliminate them, aiming to prevent potential damage or contamination.

In addition, residents and business owners might look for ant extermination services after experiencing recurring ant problems or noticing increased activity during warmer months. These services can help address situations where ants have invaded outdoor spaces like gardens or patios, or when they have become a nuisance that interferes with daily activities. Connecting with local professionals ensures that effective and tailored solutions are available to address such common property concerns.

Get an Ants Extermination Service Quote

How do ant extermination services work? Ant extermination services typically involve inspecting the property to identify ant entry points and nests, then applying targeted treatments to eliminate the colony and prevent future infestations.

Are the treatments safe for pets and children? Many ant control methods are designed to be safe around pets and children, but it is recommended to discuss specific concerns with the service provider before treatment.

How long does an ant extermination treatment last? The duration of effectiveness varies depending on the treatment method and the severity of the infestation, with some services offering ongoing monitoring or follow-up visits.

What signs indicate a need for ant extermination? Signs include visible ant trails, presence of ants indoors or outdoors, and sightings near food or water sources, indicating an active colony nearby.

How can I prevent future ant problems? Preventative measures include sealing entry points, keeping surfaces clean, removing food sources, and consulting with a local extermination professional for ongoing prevention strategies.

Ants Extermination Solutions - Local pest control providers offer targeted treatments to eliminate ant colonies and prevent future infestations.

Inspection and Identification - Professionals can assess property conditions to identify ant entry points and nesting areas for effective removal strategies.

Preventive Treatments - Service providers can apply barrier treatments and recommend sanitation practices to reduce ant attractants around homes.

Ongoing Monitoring and Maintenance - Experts can establish monitoring plans to ensure ant issues are managed and do not recur over time.

Ants Extermination Service

Considering Ants Extermination Service for a property in Colleyville, TX? The sections above highlight common project types, practical options, and details that often shape the scope of work.

When you are ready, use the quote form to share a few details about your project. Local pros can review the basics and respond with options that match what you have in mind.

Get an Ants Extermination Service Quote

Ants Extermination Quotes

Our Trusted Partners
Cantu Pest Control
Orkin
Hawx Pest Control