Local Service Overview

Get Black Ant Extermination in Southlake, TX

Black Ant Extermination services for Southlake, TX, and nearby areas typically address ant infestations, prevent future invasions, and handle residential or commercial property projects.

Southlake, TX

Black ant extermination services are a practical solution for property owners in Southlake, TX seeking to maintain a comfortable and safe living environment. These services help prevent ant infestations that can invade homes and outdoor spaces, reducing the risk of property damage and unwanted pests. By addressing ant issues promptly, property owners can enjoy improved functionality of their living spaces and minimize disruptions caused by these persistent insects.

Choosing professional ant extermination also offers benefits related to durability and reduced maintenance. Effective treatments can provide long-lasting results, helping to keep ants at bay for extended periods. This not only enhances curb appeal by maintaining a tidy, pest-free exterior but also decreases the need for frequent pest control efforts, saving time and effort in the long run.

Get Black Ant Extermination Quotes

  • Black ant extermination services are essential when ants invade residential or commercial properties in Southlake, TX and nearby areas.
  • Professional pest control providers can help eliminate black ant colonies that threaten the comfort and hygiene of homes and businesses.
  • Ant extermination may be necessary if black ants are found nesting indoors or in hard-to-reach outdoor areas.
  • Services are available for properties experiencing persistent ant activity that DIY methods have failed to resolve.
  • Contact local pest control experts to address black ant infestations and prevent future re-infestations.

Get Black Ant Extermination Quotes

Black Ant Extermination
Black Ant Extermination
Black Ant Extermination

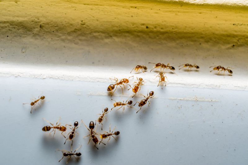
Black ant extermination services are designed to eliminate infestations of black ants from residential and commercial properties. These services typically involve a thorough inspection to identify the extent of the ant problem and locate the nests. Following the assessment, pest control professionals apply targeted treatments, which may include baiting, dusts, or liquid insecticides, to eradicate the colonies and prevent future invasions. The goal is to reduce ant populations effectively and restore the property to a pest-free state.

Black ant issues can cause significant problems for property owners. While black ants are generally not harmful to humans, their presence can be a nuisance, especially when they invade kitchens, pantries, or dining areas. In some cases, they may also contaminate food supplies or create unsightly trails across surfaces. Persistent infestations can lead to increased frustration and the need for repeated treatments if not properly addressed. Professional extermination services help resolve these problems by removing the source of the infestation and implementing measures to prevent recurrence.

Properties that commonly utilize black ant extermination services include homes, apartment complexes, restaurants, and retail stores. Residential properties often seek treatment to protect food supplies and maintain cleanliness, especially in kitchens and storage areas. Commercial establishments, particularly those involved in food service or retail, prioritize pest control to comply with health standards and avoid disruptions. Additionally, multi-unit buildings or properties with outdoor landscaping may require ongoing pest management to keep black ants from migrating indoors or establishing large colonies nearby.

Engaging with local pest control providers ensures that property owners receive tailored solutions for black ant problems. These professionals are equipped to handle infestations of various sizes and complexities, offering treatments suited to the specific property type and level of infestation. Regular inspections and preventative measures can also be part of the service plan, helping to maintain a pest-free environment over time. Contacting local experts provides access to experienced professionals who can address black ant issues efficiently and effectively.

The overview below groups typical Black Ant Extermination projects into broad ranges so you can see how smaller, mid-sized, and larger jobs often compare in Southlake, TX.

In many markets, a large share of routine jobs stays in the lower and middle ranges, while only a smaller percentage of projects moves into the highest bands when the work is more complex or site conditions are harder than average.

Initial Treatment Cost - The cost for a one-time black ant extermination typically ranges from $150 to $300, depending on the size of the property and infestation severity. Smaller homes may be on the lower end, while larger or heavily infested properties may incur higher fees.

Ongoing Pest Control - Regular maintenance plans to control black ants usually cost between $40 and $70 per month. These services often include periodic inspections and treatments to prevent future infestations.

Per-Visit Fees - Some service providers charge per visit, with prices generally between $100 and $200 for a targeted black ant treatment. Additional visits or follow-up treatments may be billed separately.

Additional Services - Integrated pest management or specialized treatments can add $50 to $150 to the overall cost. These options are often recommended for persistent or extensive ant problems.

Actual totals will depend on details like access to the work area, the scope of the project, and the materials selected, so use these as general starting points rather than exact figures.

Get a Black Ant Extermination Quote

Black Ant Extermination services are essential for addressing infestations in residential and commercial properties, helping to eliminate these pests effectively.

Local pest control providers specializing in black ant removal offer targeted treatments to prevent future invasions and protect property integrity.

Professional exterminators utilize proven methods to identify ant nesting sites and implement comprehensive eradication strategies.

Black ant control services may include inspection, baiting, and environmentally safe treatments tailored to specific property needs.

Experts in black ant extermination can assist with ongoing prevention plans to reduce the risk of recurring infestations.

Contacting local pest control specialists ensures access to experienced providers capable of handling black ant problems efficiently.

Black Ant Extermination

When selecting a professional for black ant extermination, it is important to consider their experience in handling ant infestations. Homeowners should look for service providers with a proven track record in managing black ant issues, as this can indicate familiarity with effective treatment methods and common challenges in the local area. Reputable references or reviews from previous clients can offer insight into their expertise and reliability, helping homeowners make informed decisions based on real experiences.

Clear communication and well-defined expectations are essential when working with local pros for pest control services. Pros should be transparent about their process, including the methods they use, the scope of work, and any necessary follow-up treatments. Establishing open lines of communication ensures that homeowners understand what to expect and can address any concerns or questions before work begins, leading to a smoother service experience.

It is also beneficial to consider the reputation of local service providers when comparing options. Many homeowners find value in references or reviews from neighbors and community members who have previously engaged with these professionals. While the site introduces various local options, it is important to remember that it functions solely as a connector and not as the contractor. Homeowners are encouraged to verify credentials, ask for references, and discuss communication preferences directly with prospective pros to find the best fit for their ant extermination needs.

Get a Black Ant Extermination Quote

Property owners in Southlake, TX use Black Ant Extermination services for practical projects around their homes and businesses. The sections below highlight everyday jobs and straightforward project options.

Black Ant Extermination
Black Ant Extermination

Black ant extermination services are commonly sought by property owners in Southlake, TX, dealing with persistent ant invasions. These insects often find their way indoors, especially during warmer months, creating nuisances and potential contamination concerns. Local service providers are frequently contacted to identify the source of the infestation and implement targeted treatments to eliminate ants and prevent future problems.

In addition to indoor issues, property owners may look for black ant extermination when encountering colonies on lawns, gardens, or around foundations. These ants can sometimes cause damage to plants or become a nuisance for outdoor activities. Local extermination experts offer solutions tailored to the specific needs of Southlake residents, helping to maintain pest-free environments both inside and outside the property.

Get a Black Ant Extermination Quote

What are common signs of black ant infestations? Signs include visible black ants indoors, trails leading to entry points, and small piles of dirt or debris near foundations.

What methods do local pros use to eliminate black ants? Professionals typically use targeted treatments such as baiting, residual sprays, and barrier applications to control black ant populations.

How long does black ant extermination usually take? The duration can vary depending on the severity of the infestation, but treatment plans are designed to address the problem efficiently.

Are black ants likely to return after treatment? Proper treatment by local experts aims to reduce the chances of re-infestation, but ongoing prevention may be recommended.

What can homeowners do to prevent black ant problems? Sealing entry points, maintaining cleanliness, and removing food sources can help prevent future black ant issues.

Black Ant Extermination Solutions - Local pest control providers offer targeted treatments to eliminate black ants and prevent future invasions.

Inspection and Identification - Professionals can assess property conditions and identify ant entry points to develop effective exclusion strategies.

Preventative Advice - Experts provide recommendations on sanitation and structural repairs to reduce attractants and discourage ant activity.

Ongoing Monitoring Services - Regular inspections and treatments help maintain ant-free environments and address new infestations promptly.

Black Ant Extermination

Considering Black Ant Extermination for a property in Southlake, TX? The sections above highlight common project types, practical options, and details that often shape the scope of work.

When you are ready, use the quote form to share a few details about your project. Local pros can review the basics and respond with options that match what you have in mind.

Get a Black Ant Extermination Quote

Black Ant Extermination Quotes

Our Trusted Partners
Cantu Pest Control
Orkin
Hawx Pest Control