Local Service Overview

Get Black Ant Extermination in The Colony, TX

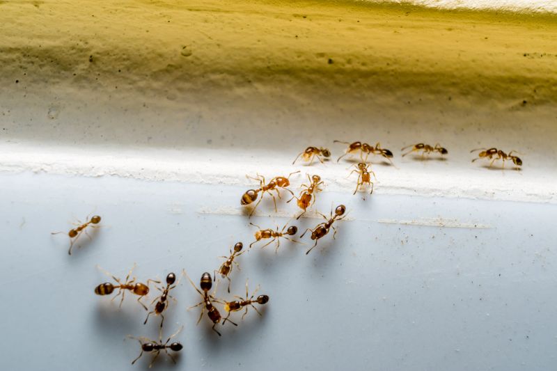
Black Ant Extermination services for property owners in The Colony, TX, and nearby areas address ant infestations, prevent future invasions, and treat residential and commercial spaces.

The Colony, TX

Black ant extermination services are an essential consideration for property owners in The Colony, TX seeking to maintain a comfortable and pest-free environment. Effective removal helps prevent ant infestations that can invade living spaces, damage structures, or contaminate food supplies. By addressing these issues promptly, property owners can enjoy a sense of safety and peace of mind, knowing that their homes and businesses are protected from potential pest-related problems.

Utilizing professional extermination services offers numerous benefits, including enhanced durability and reduced maintenance needs. Proper ant control can improve the overall functionality of a property by minimizing disruptions and preventing structural damage. Additionally, a well-maintained exterior with effective pest management can boost curb appeal, making properties more inviting and visually appealing to residents and visitors alike.

Get Black Ant Extermination Quotes

  • Black Ant Extermination services are recommended when black ants invade kitchens, bathrooms, or other indoor spaces in The Colony, TX and surrounding areas.
  • Black Ant Extermination may be needed if persistent ant trails appear outdoors near gardens, lawns, or building foundations.
  • Black Ant Extermination is essential for property owners experiencing large ant colonies or nests on residential or commercial properties.
  • Black Ant Extermination can help eliminate infestations that threaten the structural integrity of buildings or cause damage to plants.
  • Black Ant Extermination services are suitable when previous treatments have failed to control recurring ant problems in The Colony, TX, and nearby communities.

Get Black Ant Extermination Quotes

Black Ant Extermination
Black Ant Extermination
Black Ant Extermination

Black ant extermination services focus on identifying and eliminating ant infestations that can disrupt residential and commercial properties. These services typically involve thorough inspections to locate ant colonies and entry points, followed by targeted treatments using specialized products designed to eradicate the pests. The goal is to reduce ant populations effectively and prevent future invasions, often through a combination of baiting, barrier treatments, and residual insecticides. Professionals may also provide advice on how to minimize attractants and seal entry points to enhance long-term control.

Ant problems can cause significant inconveniences and property damage, especially when infestations become severe. Black ants are known for nesting in wall voids, beneath floors, or around foundations, where they can establish extensive colonies. Their presence can lead to unsanitary conditions, especially if they access food storage or preparation areas. Additionally, large ant populations can attract other pests or cause nuisance issues for residents and employees. Exterminating black ants helps restore comfort and hygiene, reducing the risk of ongoing infestations and associated property concerns.

Various types of properties utilize black ant extermination services, including single-family homes, apartment complexes, restaurants, and commercial buildings. Residential properties often seek pest control to maintain cleanliness and prevent damage caused by ant activity. Commercial establishments, particularly those involved in food service or retail, prioritize pest management to comply with health standards and ensure customer satisfaction. Even industrial facilities may require targeted treatments if black ants pose a threat to operations or product integrity. The scope of service can be tailored to the size and specific needs of each property.

Professional pest control providers typically offer comprehensive solutions for black ant extermination suited to different property types. These services may include initial inspections, customized treatment plans, and follow-up visits to monitor and maintain control. The approach is designed to address the unique challenges of each property, whether it involves treating hard-to-reach areas or implementing ongoing prevention strategies. Contacting local pest control specialists can help property owners and managers find effective, tailored solutions for managing black ant issues and maintaining pest-free environments.

The overview below groups typical Black Ant Extermination projects into broad ranges so you can see how smaller, mid-sized, and larger jobs often compare in The Colony, TX.

In many markets, a large share of routine jobs stays in the lower and middle ranges, while only a smaller percentage of projects moves into the highest bands when the work is more complex or site conditions are harder than average.

Initial Inspection - The cost for a black ant extermination inspection typically ranges from $50 to $150. This fee covers identifying the extent of the infestation and assessing entry points. Prices may vary based on property size and complexity.

One-Time Treatment - A single treatment for black ants generally costs between $100 and $300. This includes applying targeted insecticides to eliminate active colonies and prevent future activity.

Follow-Up Service - Follow-up visits to ensure the infestation is eradicated can range from $50 to $200 per session. These visits may be recommended for larger or stubborn infestations.

Integrated Pest Management - Comprehensive pest management plans involving multiple treatments and monitoring typically cost between $200 and $600. The price varies based on property size and the level of intervention required.

Actual totals will depend on details like access to the work area, the scope of the project, and the materials selected, so use these as general starting points rather than exact figures.

Get a Black Ant Extermination Quote

Black Ant Extermination services help eliminate black ant infestations in residential and commercial properties, preventing damage and nuisance caused by these pests.

Local pest control providers specializing in black ant removal offer targeted solutions to address specific ant species and infestation levels.

Professional exterminators utilize effective treatment methods to reduce black ant populations and prevent future re-infestations.

Black ant extermination services are available for properties experiencing persistent ant activity, ensuring a thorough and lasting solution.

Experts in black ant control assess property conditions to recommend appropriate treatment options tailored to each situation.

Contacting local pest control companies can help manage black ant problems efficiently and restore comfort to affected spaces.

Black Ant Extermination

When selecting a professional for black ant extermination services, it is important to consider the experience and expertise of local contractors. Homeowners should look for providers with a proven track record in pest control, especially with ant-specific treatments, to ensure effective and thorough results. Gathering information on their background and the number of years they have served the community can help assess their familiarity with local ant behaviors and common issues in areas like The Colony, TX.

Clear communication and well-defined expectations are essential when working with pest control professionals. Reputable service providers typically offer detailed explanations of their treatment methods, what homeowners can expect during and after the service, and any necessary follow-up steps. Understanding these details beforehand can help prevent misunderstandings and ensure that the homeowner’s concerns are addressed comprehensively.

References and reputation are key indicators of a reliable pest control contractor. Homeowners are encouraged to seek recommendations from friends, neighbors, or local review platforms to identify providers with positive feedback. Additionally, reputable pros often have a history of consistent service quality, which can be verified through references or testimonials. Establishing open lines of communication with potential providers can also help ensure that the chosen professional responds promptly and clearly to questions, fostering a smooth and transparent service experience.

Get a Black Ant Extermination Quote

Property owners in The Colony, TX use Black Ant Extermination services for practical projects around their homes and businesses. The sections below highlight everyday jobs and straightforward project options.

Black Ant Extermination
Black Ant Extermination

Black ant extermination services are commonly sought by property owners in The Colony, TX, who notice persistent ant activity around their homes or businesses. These insects can invade kitchens, basements, and outdoor spaces, often leading to concerns about contamination and property damage. Local service providers are frequently contacted to evaluate the extent of an ant infestation and implement targeted treatments to eliminate the colonies effectively.

Property owners may also seek black ant extermination when ants begin to establish nests within walls or under foundations, making the problem more difficult to address without professional assistance. Regular inspections and treatments can help prevent future invasions, especially during warmer months when ant activity tends to increase. Connecting with local extermination specialists can help ensure that ant issues are managed promptly and efficiently.

Get a Black Ant Extermination Quote

Why are black ants a problem? Black ants can invade homes and buildings, often leading to nuisance and potential contamination of food supplies.

How do pest control professionals eliminate black ants? Local service providers typically use targeted treatments, including baits and insecticides, to effectively remove black ant colonies.

Are black ants likely to return after treatment? Proper treatment can significantly reduce the chance of re-infestation, but ongoing prevention measures may be recommended by local experts.

What signs indicate a black ant infestation? Common signs include visible ant trails, ants inside the home, or small piles of debris near entry points.

How can I prevent black ants from returning? Keeping the property clean, sealing entry points, and removing food sources can help deter black ants, with advice from local pest control providers.

Black Ant Extermination Solutions - Local pest control providers offer targeted treatments to eliminate black ants and prevent future infestations.

Inspection and Identification - Pros can assess property conditions to identify ant entry points and recommend effective removal strategies.

Preventative Treatments - Service providers can apply barrier methods and treatments to keep black ants from returning to residential or commercial spaces.

Customized Pest Management Plans - Local experts develop tailored plans based on the severity of the infestation and specific property needs.

Black Ant Extermination

Considering Black Ant Extermination for a property in The Colony, TX? The sections above highlight common project types, practical options, and details that often shape the scope of work.

When you are ready, use the quote form to share a few details about your project. Local pros can review the basics and respond with options that match what you have in mind.

Get a Black Ant Extermination Quote

Black Ant Extermination Quotes

Our Trusted Partners
Cantu Pest Control
Orkin
Hawx Pest Control