Local Service Overview

Get Black Ant Extermination in Ponder, TX

Black Ant Extermination services for property owners in Ponder, TX, address ant infestations, prevent future invasions, and manage pest removal in residential and commercial projects.

Ponder, TX

Black ant extermination services are essential for property owners in Ponder, TX seeking to maintain a comfortable and safe living or working environment. Ant infestations can disrupt daily routines, damage property structures, and create unsanitary conditions. Professional extermination helps to eliminate existing colonies efficiently, reducing the risk of future invasions and preventing potential property damage. This work also contributes to a more functional outdoor space, free from the nuisance of persistent ant activity, allowing residents and visitors to enjoy the area without concern.

Choosing professional ant extermination offers benefits such as enhanced durability of pest control efforts and reduced ongoing maintenance. Well-executed treatments help to establish a long-lasting barrier against ants, minimizing the likelihood of recurring problems. Additionally, a pest-free property can boost curb appeal by maintaining a clean, well-kept appearance. Property owners in Ponder, TX can find local service providers equipped to deliver effective solutions that prioritize comfort, safety, and the overall integrity of their property.

Get Black Ant Extermination Quotes

  • Black Ant Extermination services are essential when ants invade residential or commercial properties in Ponder, TX and surrounding areas.
  • They are needed when ant colonies become difficult to control with DIY methods and require professional intervention.
  • These services are appropriate for properties experiencing persistent ant activity despite previous treatments.
  • Black Ant Extermination is also sought after during seasonal ant surges that affect nearby communities.
  • Contacting local pest control providers can help address ant infestations efficiently and effectively.

Get Black Ant Extermination Quotes

Black Ant Extermination
Black Ant Extermination
Black Ant Extermination

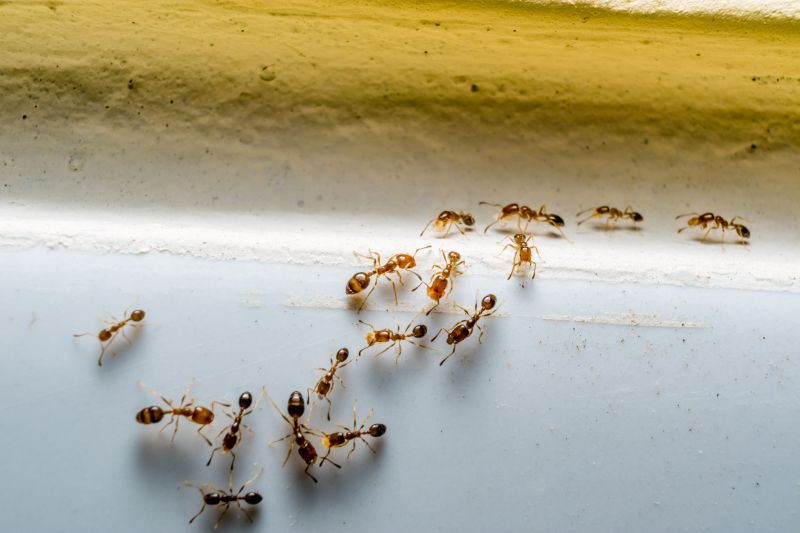
Black ant extermination services are designed to eliminate infestations of black ants from residential and commercial properties. These services typically involve thorough inspections to identify the extent of the ant problem and locate their nests. Treatment methods may include the application of targeted insecticides, baits, and barriers to prevent further entry and eliminate existing colonies. The goal is to reduce ant populations effectively and prevent future invasions, creating a more comfortable and pest-free environment.

Black ants can pose significant problems for property owners, especially when their colonies grow large or invade indoor spaces. They are known to contaminate food, damage property by nesting in wood or insulation, and create unsanitary conditions. In some cases, black ant infestations can also attract other pests or lead to increased frustration for residents and business owners. Professional extermination services help address these issues by providing targeted solutions that minimize disruption and ensure the problem is resolved efficiently.

Properties that often utilize black ant extermination services include single-family homes, apartment complexes, restaurants, and retail businesses. Homes with gardens or yards are particularly susceptible to outdoor ant colonies that may migrate indoors. Commercial properties, especially food establishments, require regular pest management to meet health and safety standards. Additionally, office buildings and warehouses may seek extermination services to maintain a pest-free environment and prevent potential damage caused by ant activity.

Engaging with local pest control providers for black ant extermination offers a tailored approach to managing infestations. These professionals assess the specific needs of each property, recommend appropriate treatment plans, and implement solutions designed to control and eliminate black ants effectively. Contacting local experts ensures that property owners receive the support necessary to address ant problems promptly and maintain a pest-free space.

The overview below groups typical Black Ant Extermination projects into broad ranges so you can see how smaller, mid-sized, and larger jobs often compare in Ponder, TX.

In many markets, a large share of routine jobs stays in the lower and middle ranges, while only a smaller percentage of projects moves into the highest bands when the work is more complex or site conditions are harder than average.

Per-Visit Fees - Black ant extermination services typically range from $100 to $300 per visit, depending on the size of the infested area and the severity of the problem. Some providers may charge a flat fee within this range for initial treatments.

Initial Treatment Costs - The initial treatment for black ant infestations often costs between $150 and $400. This includes inspection, application of insecticides, and targeted treatment to eliminate the colony.

Ongoing Service Plans - Regular maintenance plans can cost between $50 and $150 per month, providing scheduled treatments to prevent future infestations. These plans may include quarterly or bi-monthly visits by local pros.

Additional Service Charges - Extra costs may apply for specialized treatments or large properties, with prices potentially exceeding $500. Service providers may charge additional fees for inaccessible areas or extensive infestations.

Actual totals will depend on details like access to the work area, the scope of the project, and the materials selected, so use these as general starting points rather than exact figures.

Get a Black Ant Extermination Quote

Black Ant Extermination services are essential for removing infestations that can damage property and create health concerns. Local pest control providers offer targeted treatments to eliminate black ant colonies effectively.

Ant Control Solutions involve identifying ant entry points and applying treatments to prevent future invasions, with specialists experienced in managing black ant populations.

Residential Ant Extermination focuses on protecting homes from black ant invasions, utilizing methods tailored to indoor and outdoor environments in Ponder, TX, and surrounding areas.

Commercial Ant Removal services are available for businesses facing black ant issues, helping to maintain hygiene standards and prevent disruption caused by infestations.

Emergency Ant Pest Control provides rapid response options for urgent black ant problems, ensuring swift removal to minimize property damage and nuisance.

Eco-Friendly Ant Extermination options are offered by some local providers, using methods that reduce chemical impact while effectively controlling black ant populations.

Black Ant Extermination

When selecting a professional for black ant extermination, it’s important to consider their experience in handling ant infestations. Homeowners should look for service providers with a proven track record in effectively managing ant problems, including knowledge of local ant species and the most appropriate treatment methods. Clear communication about their approach and what homeowners can expect during and after the service can help ensure the process aligns with individual needs.

Reputable local pros often provide written expectations that outline the scope of work, treatment procedures, and any necessary follow-up. This transparency helps homeowners understand what services will be performed and what results are reasonable to anticipate. Additionally, references or testimonials from previous clients can serve as useful indicators of a provider’s reliability and effectiveness, especially when they are accessible and verifiable.

Effective communication is a key factor when comparing local options. Pros who are responsive and willing to answer questions about their methods, products, and procedures enable homeowners to make informed decisions. Since the site connects users with local service providers rather than performing the work directly, it’s recommended to contact multiple pros to discuss their experience, expectations, and references to find the best match for black ant extermination needs.

Get a Black Ant Extermination Quote

Property owners in Ponder, TX use Black Ant Extermination services for practical projects around their homes and businesses. The sections below highlight everyday jobs and straightforward project options.

Black Ant Extermination
Black Ant Extermination

Black ant extermination services are often sought by property owners in Ponder, TX who notice persistent ant activity around their homes or businesses. Common situations include finding large colonies in yards, along foundation walls, or inside structures, which can lead to concerns about potential damage or infestation spread. Local service providers can assist with identifying ant sources and implementing targeted treatments to help manage these unwelcome visitors.

Homeowners and property managers may also look for black ant extermination when ant populations begin to interfere with daily activities or compromise the comfort of living or working spaces. In some cases, the presence of ants may indicate underlying issues such as moisture problems or access points that need addressing. Connecting with local pros can provide solutions to help control ant populations and prevent future invasions.

Get a Black Ant Extermination Quote

Why are black ants a problem? Black ants can invade homes in search of food and water, potentially leading to contamination and nuisance issues.

What methods do exterminators use to remove black ants? Local service providers typically use targeted treatments such as baits and insecticides to eliminate black ant colonies.

Are black ants likely to return after treatment? Properly applied treatments by professionals can reduce the likelihood of black ants returning, but ongoing prevention may be recommended.

How can I prevent black ants from entering my home? Sealing entry points, removing food sources, and maintaining cleanliness can help reduce the chances of black ant invasions.

When should I consider professional black ant extermination? If black ants are persistent or widespread, contacting local pest control specialists is advised for effective removal.

Black Ant Extermination Methods - Local service providers can implement effective strategies such as baiting, trapping, and chemical treatments to manage black ant populations.

Identifying Black Ant Infestations - Pros can help detect signs of black ant activity and determine the severity of an infestation for targeted removal.

Preventive Black Ant Control - Experts can advise on sealing entry points and eliminating food sources to reduce the likelihood of future black ant problems.

Black Ant Extermination Costs - Pricing varies based on the extent of the infestation and treatment methods, with local providers offering tailored solutions.

Black Ant Extermination

Considering Black Ant Extermination for a property in Ponder, TX? The sections above highlight common project types, practical options, and details that often shape the scope of work.

When you are ready, use the quote form to share a few details about your project. Local pros can review the basics and respond with options that match what you have in mind.

Get a Black Ant Extermination Quote

Black Ant Extermination Quotes

Our Trusted Partners
Cantu Pest Control
Orkin
Hawx Pest Control