Local Service Overview

Get Ants Extermination Service in Mansfield, TX

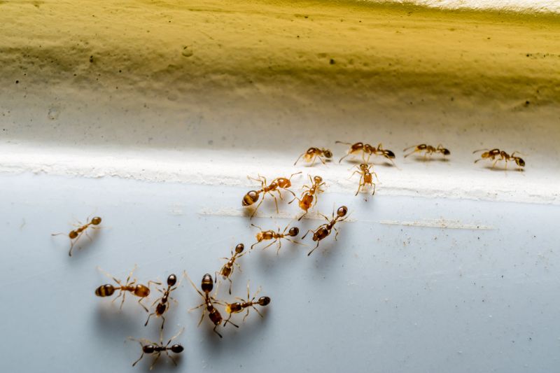
Ants extermination services for property owners in Mansfield, TX, and nearby areas address ant infestations, prevent future invasions, and handle residential and commercial pest control projects.

Mansfield, TX

Ants extermination services in Mansfield, TX, are essential for property owners seeking to maintain a comfortable and safe living or working environment. Ant infestations can disrupt daily routines, compromise hygiene, and cause damage to structures and belongings. Professional extermination helps eliminate these pests effectively, reducing the likelihood of recurring issues and minimizing the need for ongoing maintenance. By addressing ant problems promptly, property owners can enjoy a more functional space with enhanced curb appeal, as a pest-free exterior contributes to a well-maintained appearance.

Choosing expert ant extermination services offers practical benefits beyond immediate pest removal. These services promote long-term durability of property features by preventing damage caused by ant activity, such as compromised wood or electrical wiring. Additionally, a pest-free environment supports overall safety and comfort, allowing residents and visitors to enjoy the space without concern. With professional assistance, property owners in Mansfield can achieve a cleaner, more attractive property while reducing the hassle and costs associated with persistent ant issues.

Get Ants Extermination Service Quotes

  • Ants Extermination - homeowners experiencing persistent ant infestations in residential or commercial properties can seek professional services to eliminate the problem.
  • Ants Extermination - businesses dealing with ant issues that threaten food safety or customer comfort may need targeted pest control solutions.
  • Ants Extermination - properties with ant nests in lawns, gardens, or around building foundations often require expert intervention to prevent further intrusion.
  • Ants Extermination - new property owners noticing ant activity during or after construction might look for pest control specialists to address the issue.
  • Ants Extermination - residents in Mansfield, TX and nearby areas seeking long-term ant management solutions can contact local pest control providers for assistance.

Get Ants Extermination Service Quotes

Ants Extermination Service
Ants Extermination Service
Ants Extermination Service

Ants extermination services involve the identification and removal of ant infestations within residential, commercial, or industrial properties. Professionals typically conduct thorough inspections to determine the extent of the problem and locate the ant colonies. Treatment methods may include targeted baiting, application of insecticides, or other pest control techniques designed to eliminate ants at their source. The goal is to provide a comprehensive solution that not only addresses the visible ants but also prevents future invasions through effective treatment plans.

These services help resolve common problems associated with ant infestations, such as property damage, contamination of food supplies, and general nuisance. Ants can invade kitchens, pantries, and other areas where food is stored or prepared, leading to hygiene concerns. Additionally, some ant species, like fire ants, can pose health risks through painful stings. Effective extermination reduces these risks and restores comfort and safety within the affected property.

Properties that typically utilize ants extermination services include single-family homes, apartment complexes, restaurants, grocery stores, and warehouses. Residential properties often seek pest control to protect food storage areas and maintain a clean living environment. Commercial properties, especially those involved in food handling or processing, rely on regular pest management to comply with health regulations and prevent disruptions. Larger facilities with extensive storage or food production areas may require ongoing service to manage ant populations effectively.

Professional ant extermination services are available for various property types that experience recurring or severe ant problems. These services are suitable for properties with visible ant activity, signs of nesting, or previous infestations. Whether it is a small home or a large commercial facility, local pest control providers can tailor treatments to meet the specific needs of each property. Contacting a local expert can help determine the most appropriate approach to controlling and preventing ant issues effectively.

The overview below groups typical Ants Extermination Service projects into broad ranges so you can see how smaller, mid-sized, and larger jobs often compare in Mansfield, TX.

In many markets, a large share of routine jobs stays in the lower and middle ranges, while only a smaller percentage of projects moves into the highest bands when the work is more complex or site conditions are harder than average.

Initial Inspection and Treatment - The cost for an ant extermination service typically ranges from $150 to $300 for a single treatment, depending on the size of the property and the severity of the infestation. Some providers may charge more for additional treatments or extensive nesting areas.

Perimeter Barrier Application - Applying a perimeter barrier to prevent ant entry generally costs between $200 and $400. This service includes treating the foundation and surrounding areas to create a protective barrier against ants.

Whole-Home Pest Control - Comprehensive extermination packages for entire homes usually fall within the $300 to $600 range. These services often include multiple visits and targeted treatments for persistent ant colonies.

Follow-Up Treatments - Follow-up or recurring treatments can cost between $100 and $250 per session, depending on the size of the property and the extent of the ant problem. Multiple visits may be recommended for long-term control.

Actual totals will depend on details like access to the work area, the scope of the project, and the materials selected, so use these as general starting points rather than exact figures.

Get an Ants Extermination Service Quote

Ants Extermination services connect homeowners with local professionals who specialize in identifying and eliminating ant infestations in residential and commercial properties.

These services help property owners find experts skilled in implementing effective ant control methods tailored to specific types of ant species common in Mansfield, TX and nearby areas.

Local pros offering ant extermination services can assist with both initial treatments and ongoing prevention strategies to maintain pest-free environments.

Contacting specialists through these services ensures access to experienced providers knowledgeable in safe and effective pest management techniques.

Ants Extermination services facilitate connections with professionals capable of addressing infestations in various property types, including homes, restaurants, and offices.

These services are a resource for finding local experts prepared to handle ant issues promptly and efficiently in Mansfield and surrounding communities.

Ants Extermination Service

When evaluating ants extermination services, experience is a key factor to consider. Local pros often have extensive knowledge of the specific ant species prevalent in Mansfield, TX, and surrounding areas, which can influence the effectiveness of treatment methods. Pros with a proven track record tend to understand common entry points, nesting sites, and behavioral patterns, enabling them to develop targeted strategies. It’s beneficial to review their history working in the local community, as familiarity with regional pest issues can lead to more reliable results.

Clear communication and well-defined expectations are essential when working with a pest control provider. Reputable local service providers typically offer detailed explanations of their treatment approaches, what homeowners can expect during and after the service, and any necessary follow-up steps. Transparent communication helps ensure that homeowners understand the scope of work, potential limitations, and recommended preventative measures, reducing misunderstandings and fostering trust throughout the process.

References and reputation are valuable indicators of a local pros’ reliability and quality of service. Many providers can share references or testimonials from previous clients in the Mansfield area, giving insights into their professionalism and effectiveness. Additionally, a well-regarded reputation often correlates with consistent service standards and positive customer experiences. When choosing a provider, it’s helpful to seek out local options with solid references and a history of satisfied clients, ensuring a dependable partner for ant extermination needs.

Get an Ants Extermination Service Quote

Property owners in Mansfield, TX use Ants Extermination Service services for practical projects around their homes and businesses. The sections below highlight everyday jobs and straightforward project options.

Ants Extermination Service
Ants Extermination Service

Ants extermination services are often sought by property owners in Mansfield, TX, when they notice ant colonies invading kitchens, pantries, or other indoor spaces. Commonly, homeowners and business operators look for professional help to address persistent ant problems that can disrupt daily routines and compromise hygiene. Local service providers can assist with identifying ant species, locating nests, and implementing targeted treatments to eliminate infestations effectively.

In addition to indoor concerns, property owners may also seek ant extermination services for outdoor areas such as gardens, patios, or around the foundation of buildings. Ants can be attracted to food sources or water, leading to larger colonies that threaten the comfort and safety of a property. Local pros can provide solutions to prevent future invasions, helping maintain a clean and pest-free environment in residential and commercial spaces throughout Mansfield, TX.

Get an Ants Extermination Service Quote

How do ant extermination services work? Ant extermination services typically involve inspecting the property to identify ant entry points and nests, then applying targeted treatments to eliminate colonies and prevent future infestations.

Are the treatments safe for pets and children? Most ant extermination treatments are designed to be safe when applied by professionals, but it is recommended to follow any specific safety instructions provided by the service provider.

How long does an ant extermination treatment last? The duration of effectiveness varies depending on the treatment method and extent of the infestation, with some treatments providing protection for several months.

Can ant extermination services prevent future infestations? Yes, professional services often include advice and treatments aimed at reducing the likelihood of future ant problems around the property.

How do I prepare my home for ant extermination? Preparation may involve cleaning the area, removing food sources, and following any specific instructions provided by the service provider to ensure effective treatment.

Ants Extermination Solutions - Local pest control providers offer specialized ant extermination services to address infestations effectively.

Inspection and Identification - Professionals perform thorough inspections to identify ant species and determine the extent of the infestation.

Targeted Treatment Plans - Service providers develop customized treatment strategies using proven methods to eliminate ants and prevent future issues.

Ongoing Prevention Advice - Experts can offer guidance on sanitation and structural adjustments to reduce attractants and deter ants long-term.

Ants Extermination Service

Considering Ants Extermination Service for a property in Mansfield, TX? The sections above highlight common project types, practical options, and details that often shape the scope of work.

When you are ready, use the quote form to share a few details about your project. Local pros can review the basics and respond with options that match what you have in mind.

Get an Ants Extermination Service Quote

Ants Extermination Quotes

Our Trusted Partners
Cantu Pest Control
Orkin
Hawx Pest Control